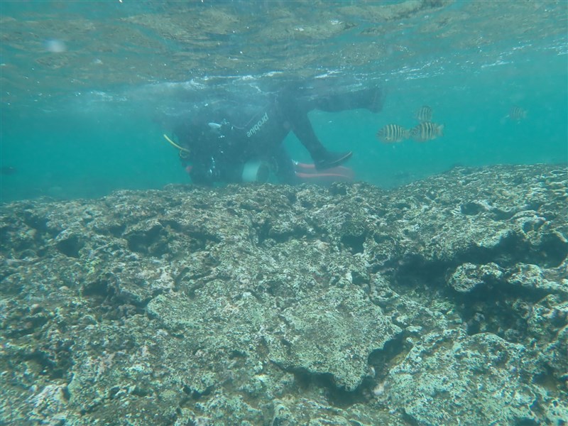
離島觀光盛 遊客觸摸踩踏 珊瑚慘變「癩痢頭」 |2023.05.13 語音朗讀 2242觀看次 字級 大 中 小 沒有人踩踏的區塊,珊瑚生長仍然茂密。圖/陳昭倫提供綠島潛客入水點的礁岩上已經無珊瑚生長,長期踩踏,光禿一片。圖/陳昭倫提供 【本報台北訊】疫後報復性旅遊興盛,卻對珊瑚造成嚴重威脅。根據目前正在綠島進行研究的中研院生物多樣性中心研究員陳昭倫觀察,例假日的綠島遊客如織,教練們帶著潛客拜訪珊瑚與珊瑚礁,遊客多雙腳直接踩踏,長期下來,把珊瑚踩成「癩痢頭」,造成珊瑚礁光禿、死亡。他建議遊客盡量由規畫好的棧道依序下水,潮間帶、水下盡可能避免觸摸踩踏。陳昭倫表示,以綠島為例,一年40萬遊客,平均每個月有3、4萬人,大量遊客湧入,對當地是商機,私有地大量開發,幾個貨櫃就成了民宿,無接管、廢水處理,幾個簡易的處理站已不堪負荷,生活、遊憩廢水直接衝擊水上水下的活動。陳昭倫說,綠島目前設有三條潛水步道,位於大白沙、石朗和柴口。前兩條位於西南岸,在夏天西南季風盛行時,幾乎無法進行水上與水下活動。而位於北面的柴口,則是東北季風時,呈現關閉狀態。而在東北、東南邊由於交通的限制,至目前並無步道的設立,因此潮間帶仍維持不錯的生態,是許多生態教室的好地點;但不少潛客追尋「秘境」,或閃避天氣,會到其他非規定處潛水,造成到處都有潛客,四處都在踩。他表示,遊客入水時,都會經過珊瑚礁前緣,若可依照規範,由步道走下去,從可以盡量減少踩踏問題,但人一多,就不走在棧道上,直接踏在潮間帶的珊瑚礁上,往水裡走,其實已經可以看到很多珊瑚已長成「癩痢頭」甚至光禿。綠島潛客入水點的礁岩上已經無珊瑚生長,長期踩踏,光禿一片。圖/陳昭倫提供陳昭倫說,業者帶人潛水、玩水上活動,盡量在規範的區域內活動,相互提醒避免踩踏珊瑚;民眾也要有自覺,入海不要動手亂摸,國人近年保育意識抬頭,多留意一些,在規範的區域內活動,可以很不一樣,即將進入暑假,也是各離島的旅遊旺季,需要不斷提醒。台灣珊瑚礁學會理事長湯森林表示,野外珊瑚長得很慢,一年才長1至2公分,近年減少的速度非常快,幾乎每10年減少一半,早期珊瑚還未大白化之前,珊瑚覆蓋率達70%、80%,現在僅30%、40%,有些地方甚至僅有17%,珊瑚保育刻不容緩。他說,遊客依序前進,走在規畫好的棧道上,部分潮間帶裸露出,有些會帶遊客看海膽,盡量避免在潮間帶採集觸摸,以珊瑚礁微生物角度,若遊客有傷口也容易出現感染;用看的、不要摸,遵循教練指示,穿蛙鞋、防滑鞋盡量不要踩踏在上面。湯森林表示,不僅只是綠島,小琉球、東北角、墾丁、澎湖都有這樣的現象;學會希望今年邀集相關單位與團體,討論出一個珊瑚活動行為公約,從遊客、附近潛店到學者進行研究,在區域活動該注意什麼,從政府、學界到民間,一起來改變。 前一篇文章 國土生態綠網圖資上線 發布45條區域保育軸帶 下一篇文章 瀕臨絕種鴨嘴獸 睽違50年重返澳洲皇家國家公園 熱門新聞 01南投太極美地空中纜車 下半年動工2026.03.2202中南部大旱 高雄3月已73件山林火警 2026.03.2103珍寶入地宮 法華經奉納佛光大佛2026.03.2104非洲人象共享生存空間 蜜蜂化解衝突2026.03.2105星雲大師全集㉑【佛教管理學③】弘法系列人事篇—人事管理法⑬2026.03.2106人間佛教聯合總會訪越南 弘法新契機2026.03.2307研讀星雲大師人間佛教傳燈錄 永續傳承智慧2026.03.2108聯合國CSW70閉幕 佛光會深化性別平權行動2026.03.2309魏哲家:台積讓AI技術 20年增快百倍2026.03.2210金正恩視察演習 13歲女兒駕戰車隨行2026.03.21 訂閱電子報 台北市 天氣預報 台灣一週天氣預報 相關報導 日月潭沒降雨蓄水率增加 水力發電助攻屏東書院園區公告 不能再亂餵鳥類及野生動物 尊重原民文化 七彩湖擬畫保護區盼善意對待海洋 屏東再啟動回收廢漁網計畫要維護生態 丹大地區劃設保護區桃園市復興區櫻花開 罕見「藍喉太陽鳥」現身